Maison neuve, 92 m² - Balan (01360)
255 000 €
Balan (01360)
Proposée par MAISONS ALAIN MÉTRAL – 4 pièces - terrain 300 m²
|
|
| Maisons Alain Métral |
- Demande d'information
- Prendre rendez-vous
MAISON À CONSTRUIRE : ceci est une annonce d'une maison neuve à construire.
Maisons Alain Métral vous propose ce projet de construction sur la commune de BALAN.
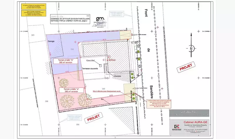
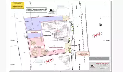
Le terrain fait environ 300 m². Il est vendu non viabilisé.
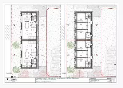
Un PC est déjà accepté sur la parcelle pour une maison à étage de 92 m² + 2 stationnements ext (sans garage).
Au RDC une pièce de vie d'une surface de 45 m² avec cuisine en OPEN-SPACE, et un WC indépendant à l'entrée,
A l'étage 3 chambres, une salle de bains et un WC indépendant.
Sanitaires et meuble vasque Jacob Delafon, carrelage, faïence en 30x60, menuiserie ext anthracite avec des volets motorisés aluminium.
Le système de chauffage est géré par une pompe a chaleur DAIKIN alimentant un plancher chauffant / rafraichissant au sol ( ou autre système au choix ).
Nous définirons ensemble le style architectural de votre maison, son agencement, l'emplacement souhaité sur le terrain…
Nous réalisons exclusivement des projets sur-mesure.
Terrain en accord avec notre partenaire foncier, sous réserve de disponibilité.
Les VRD sont incluses dans le prix du projet.
Prix hors frais de notaire, hors taxes, hors aménagement Ext.
Photos non contractuelles. Projet conforme à la RE2020.
Les informations sur les risques auxquels ce bien est exposé sont disponibles sur le site Géorisques : www.georisques.gouv.fr
Le terrain fait environ 300 m². Il est vendu non viabilisé.
Un PC est déjà accepté sur la parcelle pour une maison à étage de 92 m² + 2 stationnements ext (sans garage).
Au RDC une pièce de vie d'une surface de 45 m² avec cuisine en OPEN-SPACE, et un WC indépendant à l'entrée,
A l'étage 3 chambres, une salle de bains et un WC indépendant.
Sanitaires et meuble vasque Jacob Delafon, carrelage, faïence en 30x60, menuiserie ext anthracite avec des volets motorisés aluminium.
Le système de chauffage est géré par une pompe a chaleur DAIKIN alimentant un plancher chauffant / rafraichissant au sol ( ou autre système au choix ).
Nous définirons ensemble le style architectural de votre maison, son agencement, l'emplacement souhaité sur le terrain…
Nous réalisons exclusivement des projets sur-mesure.
Terrain en accord avec notre partenaire foncier, sous réserve de disponibilité.
Les VRD sont incluses dans le prix du projet.
Prix hors frais de notaire, hors taxes, hors aménagement Ext.
Photos non contractuelles. Projet conforme à la RE2020.
Les informations sur les risques auxquels ce bien est exposé sont disponibles sur le site Géorisques : www.georisques.gouv.fr
- Prix
-
- Prix total : 255 000 €
- Prix du modèle de maison : 156 000 €
- Prix du terrain : 99 000 €
- Terrain
-
- Surface : 300 m²
- Maison
-
- Surface : 92 m²
- Pièces : 4
- Être rappelé par un conseiller
- Demander plus d’infos
- Demande d'information
Balan (01360)
Maisons à proximité
Maison neuve, 115 m²
Balan (01360)
Balan (01360)
Maison de 6 pièces
Maison neuve, 85 m²
Balan (01360)
Balan (01360)
Maison de 5 pièces
Maison neuve, 100 m²
Balan (01360)
Balan (01360)
Maison de 5 pièces
Maison neuve, 90 m²
Balan (01360)
Balan (01360)
Maison de 5 pièces
Maison neuve, 115 m²
Balan (01360)
Balan (01360)
Maison de 5 pièces
Maison neuve, 90 m²
Balan (01360)
Balan (01360)
Maison de 5 pièces
Programmes à proximité
Résidence Evolis
Béligneux (01360)
Béligneux (01360)
Appartements de 2 à 3 pièces
Livraison 1er trimestre 2028
Le Clos du Tilleul
Pusignan (69330)
Pusignan (69330)
Appartements de 2 à 4 pièces
Livraison 2ème trimestre 2027
Résidence Tandem
Meximieux (01800)
Meximieux (01800)
Appartements de 2 à 5 pièces
Livraison 4ème trimestre 2027
PALOMA
Colombier-Saugnieu (69124)
Colombier-Saugnieu (69124)
Appartements de 4 pièces
Livraison 2ème trimestre 2026
LES BALCONS DE JULIETTE
Décines-Charpieu (69150)
Décines-Charpieu (69150)
Appartement
Livraison 1er trimestre 2026
Décines au juste prix, c'est ici
Décines-Charpieu (69150)
Décines-Charpieu (69150)
Appartements de 2 à 4 pièces
Livraison 2ème trimestre 2028
Contacter MAISONS ALAIN MÉTRAL pour recevoir plus d'informations
Remplissez le formulaire ci-dessous, vos informations sont transmises directement au constructeur qui vous contactera par email ou par téléphone afin de traiter votre demande. En savoir plus.