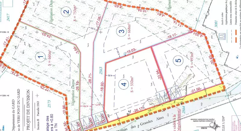
Terrain à bâtir, 660 m² - Vers-Pont-du-Gard (30210)
109 000 €
Vers-Pont-du-Gard (30210)
Proposée par MAISONS FRANCE CONFORT
|
|
| MAISONS FRANCE CONFORT |
| (153 avis) |
- Demande d'information
- Prendre rendez-vous
TERRAIN À CONSTRUIRE : Ceci est une annonce d'un terrain constructible
L'agence Maisons France Confort du Pontet vous propose, en accord avec son partenaire foncier ce joli terrain de 668 m² sur la commune du Vers pont du Gard .
Vers pont du Gard se situe entre Uzès et Remoulins .
Le terrain est exposé sud, il est viabilités et se situe dans une zone très calme tout proche du centre ville.
Vous trouverez dans les alentours un centre commercial, un pôle santé, une école, collège, arrêt de bus etc...
Pour plus d'informations, n'hésitez à contacter Lionel Montagne de l'agence de Maisons France Confort Le Pontet au O64897O81
Référence : LM2314738
Terrain proposé par un partenaire foncier selon disponibilités et autorisation de publicité et sélectionné par le constructeur en vue de construire une maison neuve avec un contrat de construction de maison individuelle, dans le cadre de la loi du 10/12/1990. Assurances et garanties du constructeur (RC professionnelle, décennale, dommage ouvrage, garantie de remboursement de l'acompte, livraison à prix et délai convenu) : https://www.maisons-france-confort.fr/mentions-legales/. HEXAOM Services est enregistré auprès de l'ORIAS en tant que Courtier en financement, Niveau 1, sous le numéro 14001345.
Les informations sur les risques auxquels ce bien est exposé sont disponibles sur le site Géorisques : www.georisques.gouv.fr
Vers pont du Gard se situe entre Uzès et Remoulins .
Le terrain est exposé sud, il est viabilités et se situe dans une zone très calme tout proche du centre ville.
Vous trouverez dans les alentours un centre commercial, un pôle santé, une école, collège, arrêt de bus etc...
Pour plus d'informations, n'hésitez à contacter Lionel Montagne de l'agence de Maisons France Confort Le Pontet au O64897O81
Référence : LM2314738
Terrain proposé par un partenaire foncier selon disponibilités et autorisation de publicité et sélectionné par le constructeur en vue de construire une maison neuve avec un contrat de construction de maison individuelle, dans le cadre de la loi du 10/12/1990. Assurances et garanties du constructeur (RC professionnelle, décennale, dommage ouvrage, garantie de remboursement de l'acompte, livraison à prix et délai convenu) : https://www.maisons-france-confort.fr/mentions-legales/. HEXAOM Services est enregistré auprès de l'ORIAS en tant que Courtier en financement, Niveau 1, sous le numéro 14001345.
Les informations sur les risques auxquels ce bien est exposé sont disponibles sur le site Géorisques : www.georisques.gouv.fr
- Prix
-
- Prix total : 109 000 €
- Terrain
-
- Surface : 660 m²
- Constructible : Oui
- Être rappelé par un conseiller
- Demander plus d’infos
- Demande d'information
Vers-Pont-du-Gard (30210)
Terrains à proximité
Contacter MAISONS FRANCE CONFORT pour recevoir plus d'informations
Remplissez le formulaire ci-dessous, vos informations sont transmises directement au constructeur qui vous contactera par email ou par téléphone afin de traiter votre demande. En savoir plus.
Voir tous nos programmes immobiliers neufs à Vers-Pont-du-Gard